Research Briefing
Published: 30 March 2023
Nature Biotechnology
(2023)Cite this article
Subjects
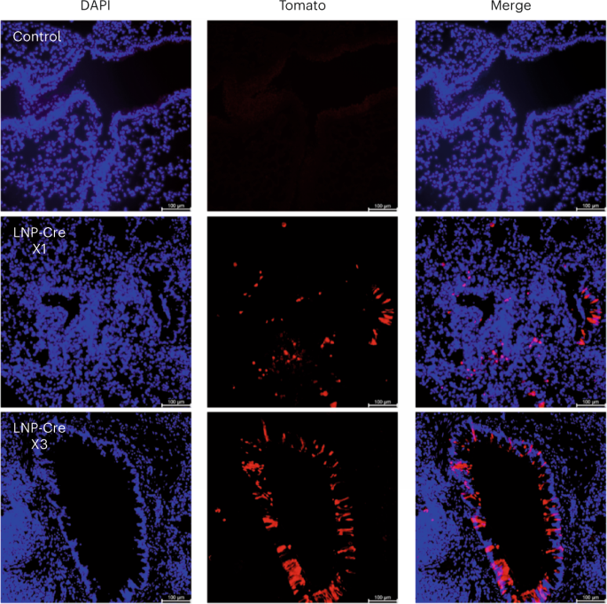
The ability to create in vivo genomic medicines for tissues other than the liver has been impeded by difficulties in delivery. Using a high-throughput platform, we developed lipid nanoparticles that can effectively deliver mRNA and CRISPR–Cas9 gene editing tools to the lungs through intratracheal administration, expanding the potential clinical uses of gene editing and mRNA-based technologies.
This is a preview of subscription content, access via your institution
Access options
Subscribe to this journal
Receive 12 print issues and online access
209,00 € per year
only 17,42 € per issue
Rent or buy this article
Get just this article for as long as you need it
$39.95
Prices may be subject to local taxes which are calculated during checkout
Additional access options:
Log in
Learn about institutional subscriptions
Read our FAQs
Contact customer support
Fig. 1: LNP-enabled gene editing in mouse airway epithelium.
ReferencesYin, H., Kauffman, K. J. & Anderson, D. G. Delivery technologies for genome editing. Nat. Rev. Drug Discov. 16, 387–399 (2017). This review article covers recent advances and challenges in nonviral and viral delivery methods.
Article
CAS
PubMed
Google Scholar
Gillmore, J. D., Maitland, M. L. & Lebwohl, D. CRISPR–Cas9 in vivo gene editing for transthyretin amyloidosis. Reply. N. Engl. J. Med. 385, 1722–1723 (2021). This paper reports LNP-enabled CRISPR–Cas9 gene editing in a human trial.
Article
PubMed
Google Scholar
Liang, S. Q. et al. AAV5 delivery of CRISPR–Cas9 supports effective genome editing in mouse lung airway. Mol. Ther. 30, 238–243 (2022). This paper reports using intratracheally dosed AAV for CRISPR–Cas9 gene editing in lung epithelium.
Article
CAS
PubMed
Google Scholar
Patel, A. K. et al. Inhaled nanoformulated mRNA polyplexes for protein production in lung epithelium. Adv. Mater. 31, e1805116 (2019). This paper reports the use of inhaled mRNA nanopolyplexes for protein production in lung epithelium.
Article
PubMed
PubMed Central
Google Scholar
Download references
Additional informationPublisher’s note Springer Nature remains neutral with regard to jurisdictional claims in published maps and institutional affiliations.
This is a summary of: Li, B. et al. Combinatorial design of nanoparticles for pulmonary mRNA delivery and genome editing. Nat. Biotechnol. https://doi.org/10.1038/s41587-023-01679-x (2023).
Rights and permissionsAbout this article
Cite this article Lipid nanoparticle-enabled gene editing in the lung via inhalation.
Nat Biotechnol (2023). https://doi.org/10.1038/s41587-023-01689-9
Download citation
Published: 30 March 2023
DOI: https://doi.org/10.1038/s41587-023-01689-9


Leave a Reply